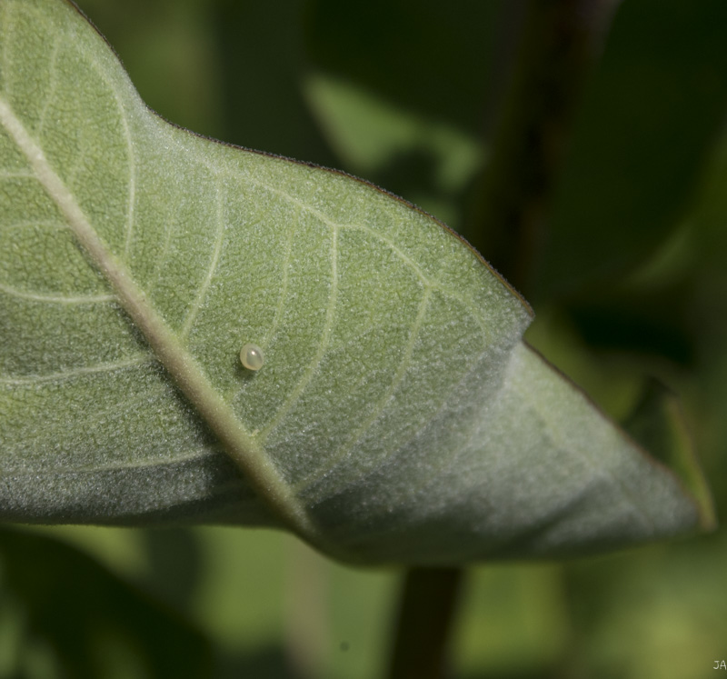
Hopefully a Monarch Butterfly Egg

Kellogg – Jock Aplin

Bookmark the permalink.

Leave a comment

This site uses Akismet to reduce spam. Learn how your comment data is processed.